原標題:《瘋狂!男子開車撞向人群,連妻子都不“放過”》
不滿店鋪被查
老板竟開車撞向人群
其中還包括自己的妻子
這驚險一幕
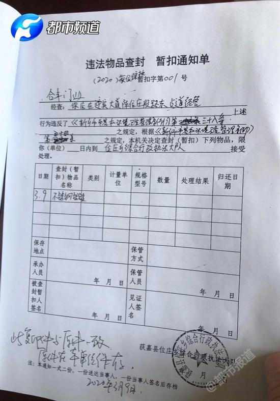
發生在新鄉獲嘉縣位莊鄉陳位莊村
視頻中
幾名執法人員正將不銹鋼防盜窗
搬到一輛貼有綜合執法字樣的車上
期間一名女子試圖阻攔

就在執法人員將女子拉開后
這時 隨著一陣轟鳴
一輛白車轎車突然撞向人群

執法人員立即上前想要拉開車門
可白色轎車司機卻沒有下車的意思
反而再次啟動車輛
沖出人群后
調頭加速撞向執法車輛

隨后
白色轎車加速逃離了現場

事故造成五人被撞
其中被撞女子竟然還是白色轎車司機的妻子
四名被撞執法人員中一人骨折三人輕傷

今天上午
都市記者趕到了事發地
了解了事情的詳細經過
原來這家經營防盜窗的商戶
涉嫌占道經營
執法人員先是口頭通知
隨后又多次出具警示、警告書面通知
但對方仍拒不配合整改


在多次通知無果后
執法人員決定對違法物品進行查封
而就在查封過程中
發生了開頭一幕


今天上午
獲嘉縣位莊鄉政府發布情況說明

目前 吳某已經被控制
警方正在進一步調查







